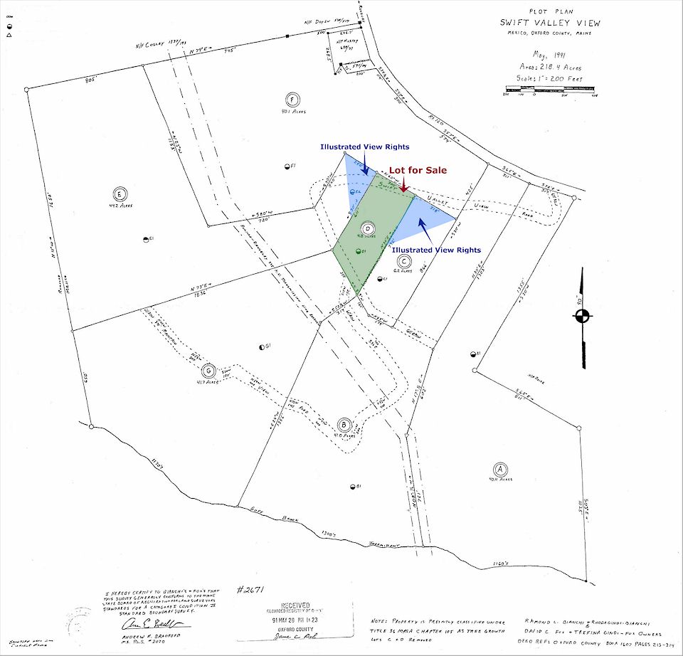
Zoom in